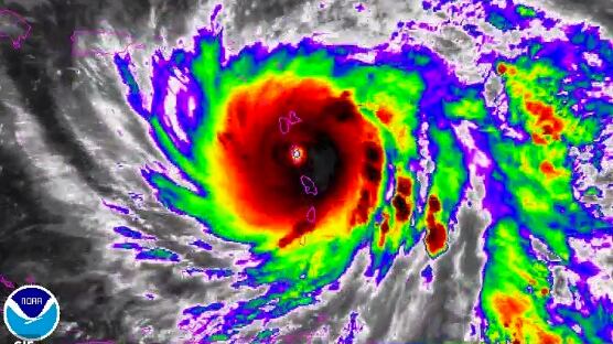
El «potencialmente catastrófico» huracán de categoría 5 María se aproxima hoy a las Islas Vírgenes y Puerto Rico con vientos máximos sostenidos de 160 millas por hora (260 km/h), informó el Centro Nacional de Huracanes (NHC) de EEUU.
María, que toco tierra anoche en la isla caribeña de Dominica causando importantes daños, se encuentra a 85 millas (135 kilómetros) al oeste de Guadalupe y a 170 millas (275 kilómetros) al sureste de Saint Croix (Islas Vírgenes estadounidenses), informó el NHC en su boletín de las 12.00 GMT de hoy.
Se desplaza hacia el oeste-noroeste con una velocidad de traslación de 9 millas por hora (15 km/h) y, según un probable patrón de trayectoria, el «ojo de María se moverá hoy sobre el nordeste del Caribe y se aproximará a las Islas Vírgenes y Puerto Rico esta noche y el miércoles», resaltó esta institución con sede en Miami.
Tanto las islas Vírgenes como Puerto Rico ya sufrieron la fuerza de Irma hace apenas unos días, un poderoso huracán de categoría 5 que causó 26 muertos en el Caribe y una estela de destrucción en Barbuda, San Martín, el norte de Cuba y los cayos y suroeste de Florida.
María experimentará «fluctuaciones en su intensidad durante los próximos dos días», pero permanecerá como un «extremadamente peligroso huracán de categoría 4 o 5 mientras se aproxima a las Islas Vírgenes y Puerto Rico», precisaron los meteorólogos.
María tocó tierra en Dominica a las 21.15 hora local del lunes (01.15 del martes GMT) con vientos de hasta 260 kilómetros por hora como huracán de categoría 5, la máxima en la escala Saffir-Simpson.
Se mantiene un aviso de huracán para Guadalupe, Dominica, San Cristóbal y Nieves, las Islas Vírgenes estadounidenses y británicas, Puerto Rico, Culebra y Vieques; además de una vigilancia de huracán para Saba y Saint Eustatius, St. Maarten, Anguila y Martinica.
Se esperan «marejadas ciclónicas peligrosas» acompañadas de «grandes olas destructivas» que elevaran los niveles del agua entre 7 y 11 pies (2 y 3 metros) sobre los niveles normales, lo que podría causar que «áreas normalmente secas cerca de la costa se inunden».
María podría producir acumulaciones de lluvia de entre 10 y 15 pulgadas (25 y 38 centímetros) en el centro y sur de las Islas de Sotavento (Antillas Menores), las Islas Vírgenes estadounidenses y británicas y en Puerto Rico entre 12 y 18 pulgadas (30 y 45 centímetros).
Las «marejadas originadas por María están afectando a las Antillas Menores» y podrían generar «condiciones de resaca y corrientes marinas peligrosas para la vida humana».

