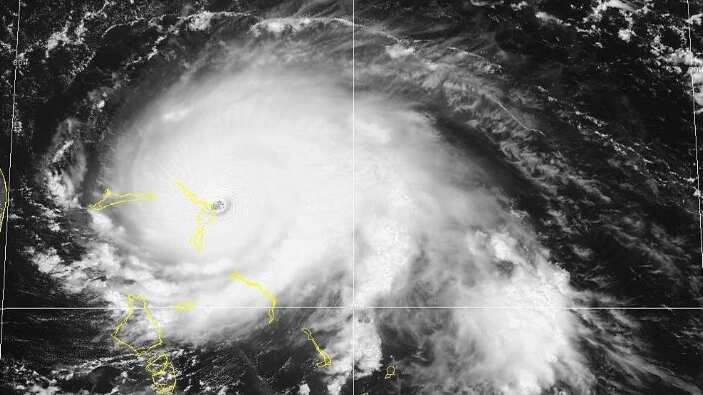
«El ojo del huracán afectará las Islas Ábaco durante las próximas horas. REFÚGIENSE AHORA, ES UNA SITUACIÓN EXTREMADAMENTE PELIGROSA», decía la alerta emitida por el Centro Nacional de Huracanes (CNH).
El reporte, que calificaba a Dorian como el más fuerte de la historia moderna para el noreste de Bahamas, pedía a los habitantes de las Bahamas que se resguardaran para evitar los serios y devastadores efectos que se espera la tormenta deje a su paso.
Según los primeros registros, la tormenta tocó tierra en Islas Ábaco en categoría 5 con vientos de casi 260 km/hora.
Y a través de las redes sociales, han comenzado aparecer los primeros registros de la compleja situación producto del paso del huracán.
Récord del hemisferio occidental
Cabe mencionar que los 260 kilómetros por hora de los vientos de Dorian están a solo 10 del récord en el hemisferio occidental. Las cifras solo son superadas por el huracán Allen, que en 1980 alcanzó vientos sobre los 270 Km/hr.
https://twitter.com/QueenAnarchyy/status/1168197999853486080

