Al menos tres personas han muerto y trece han resultado heridas en Jamaica mientras las autoridades y la población se preparan para recibir el impacto del huracán de categoría 5 ‘Melissa’, que avanza con vientos máximos sostenidos de hasta 280 kilómetros por hora y previsiblemente tocará tierra este martes.
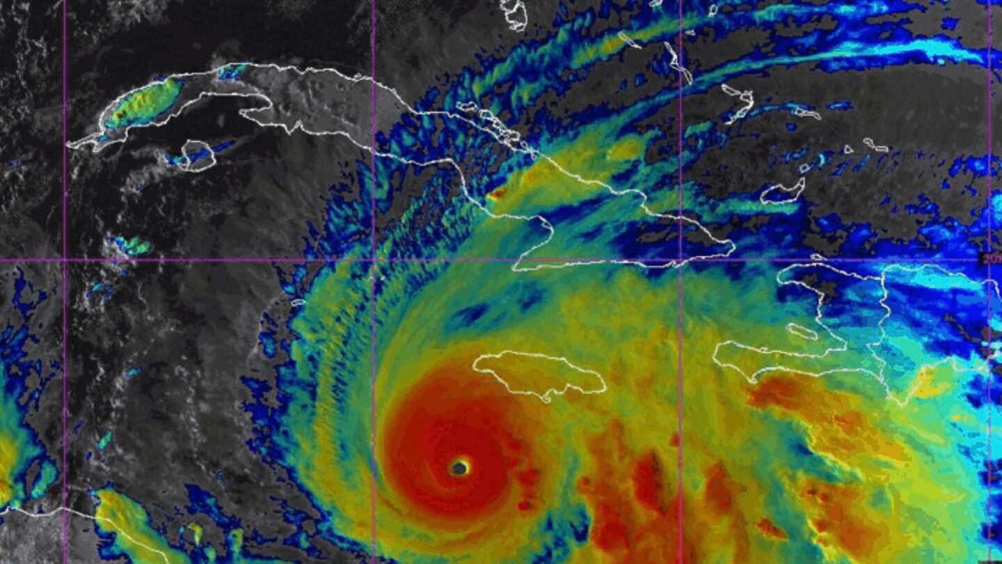
Nota relacionada: Huracán Melissa es el ciclón más intenso de la temporada
Así lo ha confirmado en rueda de prensa el ministro de Salud, Christopher Tufton, que ha precisado que las tres muertes han tenido relación directa con árboles, según ha recogido el diario ‘Jamaica Observer’.
Según ha relatado Tufton, un trabajador sanitario ha muerto en Saint Elizabeth cuando llevaba a cabo operaciones de prevención antes de la llegada del huracán. Tras ser trasladado en helicóptero al hospital universitario de West Indies, ha fallecido a causa de sus lesiones. Asimismo, otra persona ha muerto víctima de otro árbol caído en la localidad de Hanover, mientras que un hombre ha sido electrocutado cuando talaba árboles.
El ministro de Salud, que ha atribuido las lesiones a caídas desde tejados y escaleras, ha expresado sus condolencias a las familias de las víctimas y ha instado a la población a “extremar la precaución”. “Si necesitan ayuda, pídanla, pero tengan cuidado de protegerse durante la preparación, porque ya estamos presenciando la tragedia de vidas humanas” perdidas, ha lamentado.
Por su parte, el primer ministro jamaicano, Andrew Holness, ha asegurado este lunes que el Equipo de Respuesta a Desastres (DART, por sus siglas en inglés) de las Fuerzas Armadas está preparado para brindar la asistencia necesaria tras el huracán, incluyendo labores de socorro, recuperación y reconstrucción.
“Estamos tan preparados como podemos”, ha subrayado, aunque ha reconocido que “todavía hay margen de mejora”. Con todo, el mandatario ha destacado que todos los recursos del DART “serán utilizados para el bien nacional” ante el impacto del huracán ‘Melissa’, “que podría causar una disrupción significativa”.
Preocupación en la región
El ciclón, situado ya a unos 180 kilómetros de la capital jamaicana, Kingston, según el Centro Nacional de Huracanes (CNH) de Estados Unidos, amenaza también a otros países de la región. El organismo estadounidense sitúa el ojo de ‘Melissa’ a 465 kilómetros de la localidad cubana de Guantánamo.
El Gobierno de Cuba ha celebrado un Consejo de Defensa Nacional en el que el presidente, Miguel Díaz-Canel, ha instado a los ciudadanos a “estar alertas, ser solidarios y no olvidar la disciplina ante la amenaza”. En este sentido, ha instado a las distintas administraciones a “no escatimar recursos” para proteger a la población.
En Cuba el impacto se prevé ya el miércoles por la mañana, mientras que ese mismo día puede también causar los primeros estragos en Bahamas. El impacto no será tan directo en Haití, pero el director de Protección Civil, Emmanuel Pierre, ha avisado de que los efectos de ‘Melissa’ pueden ser “devastadores”, por lo que cientos de personas han sido evacuadas ya a refugios, según el portal Alter Presse.

